Home

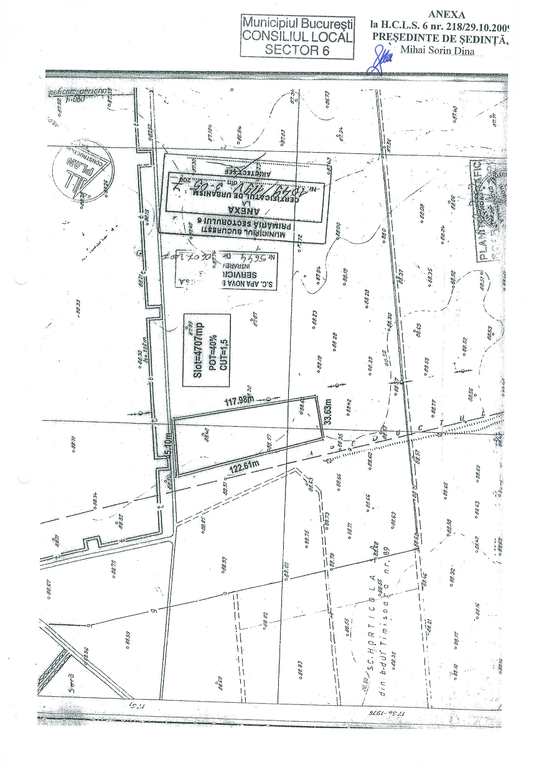
Hotărâre privind trecerea din administrarea Administraţiei Domeniului Public şi Dezvoltare Urbană Sector 6 în administrarea Direcţiei Generale de Asistenţă Socială şi Protecţia Copilului Sector 6 a terenului de 4707 m.p. situat în str.Valea Oltului f.n. Sector 6, în vederea construirii unei grădiniţe şi a unei creşe, în asociere cu Parohia Brâncuşi – Sfântul Ioan Rusul şi Acoperământul Maicii Domnului

218 29.10.2009

Attachment Size
2009_10_29_HCL_218.pdf 193.88 KB
2009_10_29_AnexaHCL_218_001.jpg 541.73 KB